
Published: Sep 20, 2021
When to harvest marijuana plants and why
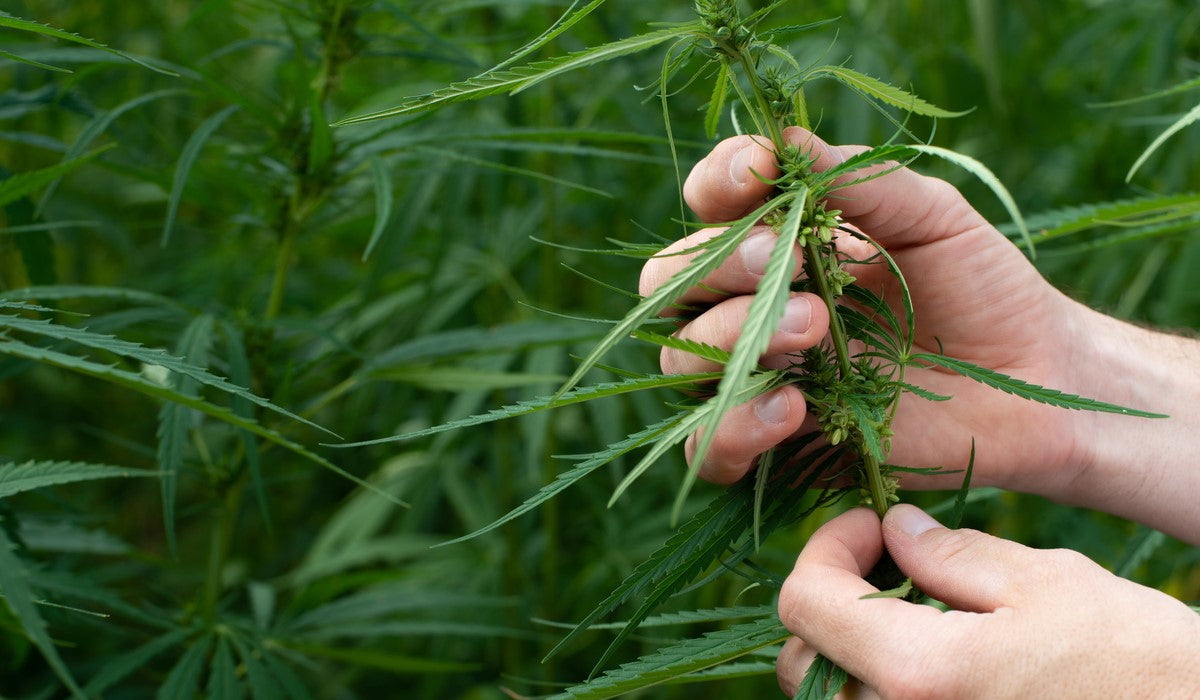
After proudly growing your own healthy, sticky-sweet marijuana plant, before you can go ahead and pack or process it, you need to figure out when and how to harvest it. If you haven't done this before, or you aren't sure if you are doing it right, this article is for you. There are many ways to harvest marijuana, trim and cure marijuana, and each grower will likely have their own tactics.
Read along to find out how to tell when your marijuana plants are ready for harvest. You can benefit from these tried and tested marijuana tips and tricks. We will also go over the process of drying and curing your product. This will ensure that you get a harvest that is just right.
How to Tell When it's Time to Harvest Marijuana
There are several indicators that can tell you when it's time to harvest your marijuana plants. You must note that each plant is unique, and so are several different strains. However, there are general indicators that can show that your plants are ready to be harvested:
- The leaves of the plants will change color to yellow, and they will begin to curl and fall off.
- The buds will be fully developed and plump, and they will stop growing,
- Branches will hang lower due to the weight of the buds.
Growing Tools That You Need for Harvest cannabis
There are three things that you will need to determine when it's time to harvest marijuana plants. First, you need to know when it's time to harvest. You will also need visual inspection skills, and if you have been growing for a while, you have probably mastered this. If you are just getting into the game, you might want to research more about visual inspection skills. Last, you will need a magnifying tool. Please note that this is optional but highly recommended. You will want to see the trichomes on your buds properly. This will allow you to time your harvest properly and get the plant when it's at the stage you desire.
There are several magnifying tools that you can use to determine if it's time to harvest marijuana. Most people use a Jeweler's loupe. This is the cheapest way to magnify and take a closer look at your plants. However, this tool requires you to have great vision as it is not the easiest one to use. Fortunately, if it's for you, it will get the job done super fast. You can also use your mobile phone camera. The majority of modern smartphones come with decent cameras that have zoom functionality. You will still need to hold the phone and take pictures for inspection. Make sure there is enough natural light when you are taking pictures.
You can also use a digital microscope. While this is the best tool for the job, it is very expensive. You will also need to hook it up to a laptop for you to view the pictures. Digital microscopes will also take videos that you can store and examine later. This is the best way to get close to your trichomes!
Is There a Difference Between Harvesting Indoor and Outdoor Plants?
The short answer is yes. Your approach to harvesting indoor and outdoor plants must differ. The most important thing to consider is timing. You don't want to harvest your plants too early or too late. If you harvest your plants a week too early or too late, it might not be a problem. However, it is not advisable to let your plants sit around any longer than they should.
Outdoor
Marijuana is a warm-season annual. If you choose to grow it outdoors, your harvest time will most likely be between the months of September and November in the Northern Hemisphere. However, there are also variations between growers. If you are in Northern California, you might be able to harvest anytime between late October and mid-November. However, if you are in the Pacific Northwest, it is advisable to pull your plants down sometime around mid-October. Some people will choose to wait until early November. If you do it; you just have to ensure that you do it before the rains come. The important thing is to study your climate carefully. You can also ask other more experienced growers around you about how and when they harvest marijuana.

Indoor
If you are growing your marijuana plants indoors, it is advisable to harvest them about 7-9 weeks after flipping them into flowers. You must also note that there are strains that will need more time than this. It all depends on the strain that you are dealing with. You will find that Indicas are usually ready quicker. On the other hand, sativas will take a bit longer.
Checking Stigma and Trichomes
One of the best ways to tell if marijuana plants are ready to harvest is by checking the stigma and trichomes. This works perfectly with both indoor and outdoor plants. Here are the things that you will need to analyze:
Stigmas are the hair-like strands that you will find on buds. When your plants are ready to be harvested, the stigma will change color from white to orange. Apart from that, these hairs will also start to curl. On the other hand, trichomes are the resinous glands that are found all over the marijuana plant. These glands will turn from clear to opaque as the plant matures. When it's time to harvest, they will turn amber.
You must also remember that the top colas will likely reach maturity a bit faster than those buds at the bottom. This is because the ones at the top receive a lot more light. However, this won't stop you from harvesting. You will likely have to harvest marijuana when some of the plants are not quite there yet.
You also need to pay attention to the information provided by the breeder. This will help when you are trying to get a rough estimate of when it's time to harvest your marijuana plants. Because every strain matures differently, the breeder will likely give you some sort of manual or guideline about when you should harvest a particular strain.
Monitoring Trichomes to Determine time to Harvest Marijuana
If you are trying to analyze trichomes, you will need a magnifying tool like the ones listed above. If you are using a microscope, it will be quite easy to view these. You can purchase a cheaper handheld microscope from any marijuana-growing supply store. When trichomes change from opaque to amber, that's when they will have the highest concentration of THC. Once that stage is passed, they will start to break down because of exposure to oxygen and UV rays.
Basically, when the trichomes are clear, it means the plant is immature and not ready for harvest. During this stage, the THC won't be fully developed. At this point, if you harvest the plants, you will likely get a racy, less smooth, and comfortable user experience. You will want to harvest the plants when the trichomes are fully cloudy. This is the perfect time to harvest them. If you want stronger THC content, you can even wait until you notice a little amber.
If you want to wait until the trichomes turn all the way amber, you might get a more lethargic, heavy body high. However, most people are not fans of this "couch-lock"! Instead, people want a sedate and sleepy vibe. Also, to get this result, you might want to be more careful when choosing the strain. You should go for a strain that is known for this feeling instead of trying to push your strain to get to this stage. Prolonging the harvest will not get you the results you want if the strain doesn't have the qualities you desire.
If you miss everything else, stick to harvesting the plants when the trichomes are fully cloudy and starting to turn a little amber. The mixture of amber and cloudy is the signal you must wait for. Most people are more worried about harvesting their plants when they are not ready, as opposed to too late.
What Equipment Do You Need to Grow Marijuana?
Scissors for Harvest
To harvest marijuana, you need ergonomic scissors that will fit perfectly and comfortably in your hands. You will most likely hold the scissors for long; your comfort is a priority. You must also get a pair that is not too difficult to clean. This is because the scissors will likely get sticky and sweaty overtime. The other option would be to get two pairs. Most people also prefer spring-loaded scissors because they are easier to use, and they get the job done quicker. However, most trimmers go for Chikamasa scissors. These are not spring-loaded, but they are quite fast.
Pruners for Harvest
For cutting branches, you will need a large pair of shears. Scissors are more suited for work that requires a lot of precision.
Comfortable Chair and Area
When harvesting marijuana, you will need a lot of space. This will allow you to easily settle in for a long trim. You must choose a cool place that has a lot of light. Also, avoid places with too much dust as these will contaminate your marijuana. If you sit for longer, you will most likely get more work done. Therefore, it is advisable to get a comfortable chair. Try and stay away from anything that makes you hunch over. This will compress your lower back and cause a lot of discomfort.
Tray/bowl and a Clean Surface
For the best results, you must find a trimming tray. This is quite easy to transport as you can just place one on your lap. You can also look for something that has a screen for collecting kief. When it comes to trays, you must also keep in mind that the simpler the design, the better. Some trimmers even do it on a table and then put their finished buds in a bowl. Whichever you prefer, just ensure that you are doing everything on a surface that is easy to clean.
Rubbing Alcohol and Rags
Your equipment, especially the trimming scissors, will get gunked up with resin. Therefore, you will need to clean or switch them for a fresh pair. To clean, you will need a cup with some rubbing alcohol. Also, remember to wear old clothes that you don't care about. Alternatively, you can put on an apron to prevent the resin from sticking to your clothes. To keep your hand's resin free, wear some gloves. You can also just rub your hands with coconut oil if you don't want to trim with gloves on. This is quite effective when it comes to keeping your hand's resin free.
Summing Up
If you are dry trimming your plants, hang them up to dry for several days before you trim them. On the other hand, you can also opt for wet trimming. With this method, you will want to trim your plants as soon as you chop them down. Whichever method you choose, chop your plants down with shears first. Make sure that you are gentle with the buds.
In This Article